Cyclone Montha live updates: Weather warning including orange and yellow alerts have been issued by the IMD for various parts of Tamil Nadu for the next 4 days. As cyclone Montha makes its landfall, get Cyclone Montha live updates here on Updated India.
Cyclone Montha live updates
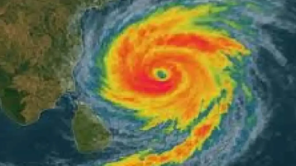
Cyclone Montha will soon make landfall in coastal Andhra Pradesh, officials said on Monday. The IMD on Monday announced that the deep depression over the Bay of Bengal is likely to intensify into a severe cyclonic storm by October 28. With a maximum sustained wind speed of 90-100kmph gusting to 110 kmph it is likely to bring heavy rainfall to several districts of West Bengal between October 28 and 31.

Cyclone Montha was located about 560 km off Visakhapatnam as of Monday evening and is expected to strengthen into a severe cyclonic storm by Tuesday morning.
At present, it lies about 600 km east-southeast of Chennai (Tamil Nadu), 680 km south-southeast of Kakinada (Andhra Pradesh), 710 km south-southeast of Visakhapatnam (Andhra Pradesh), 790 km west of Port Blair (Andaman & Nicobar Islands), and 850 km south of Gopalpur (Odisha). The IMD has forecast that the system will intensify into a cyclonic storm over the southwest and adjoining west-central Bay of Bengal by Sunday morning (October 27).
The storm is expected to gain strength as it moves northwestwards and later north-northwestwards, turning into a severe cyclonic storm by Monday morning (October 28).
Cyclone Montha: Andhra govt prepares action plan
The Andhra Pradesh government has prepared an action plan for relief and essential supplies in pre-cyclone preparedness for Cyclone Montha.
State Civil Supplies Minister N Manohar said the action plan covers stock positioning of Public Distribution System (PDS) commodities, fuel inventory management, paddy procurement steps, food supply to relief shelters and post-cyclone relief distribution.
“The Andhra Pradesh government has prepared an action taken report detailing the pre-cyclone preparedness measures for Cyclone Montha, ensuring readiness before landfall,” Manohar said in an official release late on Saturday.

Cyclone Montha tracker LIVE: Nadda asks BJP functionaries to engage in relief work
BJP national president JP Nadda on Monday directed the party’s units in Andhra Pradesh, Odisha, Tamil Nadu, Puducherry and the Andaman and Nicobar Islands to be prepared to engage in relief and assistance efforts across the regions as Cyclone ‘Montha’ gets ready to make landfall.
Cyclone Montha tracker LIVE: Odisha gears up for evacuation as nears coast
The Odisha government geared up evacuation of people from vulnerable places amid inclement weather in eight southern districts where a “red alert” has been sounded, as the deep depression in the Bay of Bengal on Monday intensified into cyclonic storm ‘Montha’, officials said.
Cyclone Montha tracker LIVE: Cyclone not likely to cause major damage in Tamil Nadu, says Dy CM
Speaking to reporters on the preparations being undertaken by the Tamil Nadu government, Deputy Chief Minister Udhayanidhi Stalin said as the cyclone is expected to cross the coast tomorrow, it will not cause major damage in Tamil Nadu.
“The meteorological department has informed us that there will not be very heavy rain for the next 10 days. But even if it rains heavily, our government is prepared to face it,” said Udhayanidhi.

Cyclone tracker LIVE: Four Tamil Nadu districts receive heavy rainfall
Four districts of northern Tamil Nadu, including the state capital, received heavy rainfall on Monday even as cyclonic storm ‘Montha’ is currently located in the Bay of Bengal, about 480 km east of Chennai, the Regional Meteorological Centre said.
“Cyclone Montha is expected to move north-north westerly and cross the coast between Machilipatnam and Kalingapatnam near Kakinada district in Andhra Pradesh as a severe cyclonic storm on the evening or the night of October 28,” Director of Regional Meteorological Centre (RMC) B Amudha said.







